![]() |
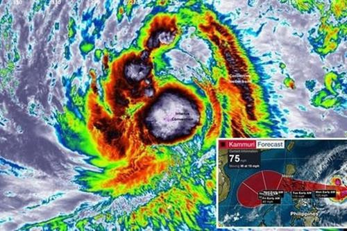
| Bão Kammuri cực mạnh . Ảnh:laodong.vn |
Nội dung Công điện nêu rõ: Theo Trung tâm Dự báo Khí tượng Thủy văn Quốc gia, hiện bão Kammuri đang ở trên vùng biển phía Đông Philippines. Hồi 13 giờ ngày 2/12, vị trí tâm bão ở vào khoảng 13,0 độ Vĩ Bắc; 125,5 độ Kinh Đông, ngay trên vùng biển phía Đông miền Trung Philippines. Sức gió mạnh nhất vùng gần tâm bão mạnh cấp 13-14 (135-165km/giờ), giật cấp 17. Bán kính gió mạnh từ cấp 6, giật từ cấp 8 trở lên là khoảng 350km tính từ tâm bão; bán kính gió mạnh từ cấp 10, giật từ cấp 12 trở lên là khoảng 150km tính từ tâm bão.
Dự báo, trong 24 giờ tới (từ 13 giờ ngày 2/12 đến 13 giờ ngày 3/12), bão di chuyển theo hướng Tây, mỗi giờ đi được khoảng 20km. Đến 13 giờ ngày 3/12, vị trí tâm bão ở khoảng 13,4 độ Vĩ Bắc; 121,0 độ Kinh Đông, trên khu vực miền Trung Philippines. Sức gió mạnh nhất vùng gần tâm bão mạnh cấp 13-14 (135-165km/giờ), giật cấp 17.
Trong 24 đến 48 giờ tiếp theo (từ 13 giờ ngày 3/12 đến 7 giờ ngày 4/12), bão di chuyển theo hướng Tây Tây Bắc, mỗi giờ đi được 15-20km và đi vào Biển Đông. Đến 13 giờ ngày 4/12, vị trí tâm bão ở khoảng 15,0 độ Vĩ Bắc; 117,1 độ Kinh Đông, cách đảo Song Tử Tây (quần đảo Trường Sa) khoảng 500km về phía Đông Bắc. Sức gió mạnh nhất vùng gần tâm bão mạnh cấp 11 (100-115km/giờ), giật cấp 14. Cấp độ rủi ro thiên tai cấp 3.
Để chủ động ứng phó với diễn biến của bão, Văn phòng thường trực Ban Chỉ đạo Trung ương về phòng chống thiên tai (Văn phòng Ủy ban Quốc gia ứng phó sự cố, thiên tai và Tìm kiếm cứu nạn) đề nghị Ban Chỉ huy Phòng chống thiên tai và Tìm kiếm cứu nạn các tỉnh, thành phố; các bộ, ngành chỉ đạo triển khai thực hiện một số nội dung.
Ban Chỉ huy Phòng chống thiên tai và Tìm kiếm cứu nạn các tỉnh, thành phố cần thông tin kịp thời cho thuyền trưởng, chủ các phương tiện đang hoạt động trên biển biết vị trí, hướng di chuyển và diễn biến của bão để chủ động phòng, tránh. Theo dõi chặt chẽ diễn biến của bão, chủ động liên lạc thường xuyên với thuyền trưởng, chủ các phương tiện.
Bộ Ngoại giao có trách nhiệm gửi công hàm tới các nước, vùng lãnh thổ trong khu vực đề nghị tạo điều kiện cho tàu thuyền của ngư dân vào tránh trú bão để đảm bảo an toàn.
Ban Chỉ huy Phòng chống thiên tai và Tìm kiếm cứu nạn các bộ, ngành theo chức năng nhiệm vụ được giao có trách nhiệm triển khai các phương án ứng phó với bão, sẵn sàng lực lượng, phương tiện để kịp thời tổ chức cứu hộ, cứu nạn khi có yêu cầu.
Đài Truyền hình Việt Nam, Đài Tiếng nói Việt Nam, Đài thông tin duyên hải và các cơ quan thông tấn, báo chí của trung ương và địa phương có trách nhiệm thường xuyên cập nhật về diễn biến của bão; tăng cường thời lượng phát sóng, truyền tin trên các phương tiện thông tin đại chúng để các cấp chính quyền, chủ các phương tiện hoạt động trên biển và người dân biết, chủ động phòng tránh và ứng phó.
Các lực lượng chức năng có trách nhiệm tổ chức trực ban nghiêm túc 24/24 giờ, thường xuyên báo cáo về Văn phòng Thường trực Ban Chỉ đạo Trung ương về phòng chống thiên tai và Văn phòng Ủy ban Quốc gia Ứng phó sự cố, thiên tai và Tìm kiếm cứu nạn.
